Quercus pyrenaica 'Pendula'

Fagaceae

Quercus pyrenaica 'Pendula'

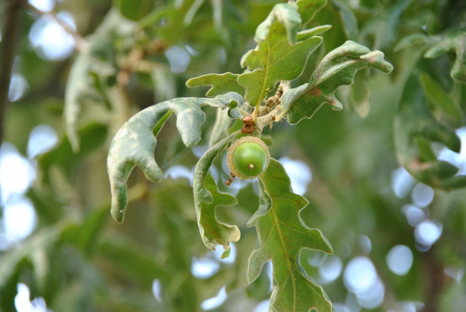
Deze treurvorm van Q. pyrenaica groeit breed uit met sterk afhangende takken. De kroonvorm is half open. De dunne twijgen zijn grijs donzig, later glad en olijfgroen. Het blad is variabel van grootte, 10 - 18 cm lang en 3,5 - 10 cm breed. Aan beide zijden is het blad geelgrijs viltig behaard, aan de onderzijde blijvend behaard. De lobben zijn smaller dan bij de soort en meestal zeer diep ingesneden. De bladkleur is wat valer groen dan bij de soort. De lang eivormige eikels staan met 2 tot 4 bijeen en zijn voor de helft omgeven door het napje dat bezet is met lange, viltig behaarde, aanliggende schubben. Volgens sommigen is 'Pendula' een natuurlijke variëteit en komen er in wilde populaties van Q. pyrenaica ook planten met sterk treurende takken voor.
Beschikbaarheid
Eigenschappen
Download PDF
Hoogte
6 - 10 m
Kroon
breed treurend, halfopen kroon
Schors en takken
grijs, gegroefd, dunne overhangende twijgen
Blad
omgekeerd eirond tot langwerpig, groen, 10 - 18 cm
Bloemen
goudkleurige ♂ katjes, eind juni
Vruchten
lang eivormige eikels, 2 tot 5 gebundeld, Ø 1,5 - 2,5 cm
Stekels/doorns
Geen
Giftigheid
gewoonlijk niet giftig voor mensen, (grote) huisdieren en vee
Grondsoort
kalkrijke, leemhoudende zandgrond
Bodemvochtigheid
kan op natte grond
Verharding
verdraagt geen verharding
Winterhardheid
6b (-20,5 tot -17,8 °C)
Windbestendigheid
matig
Overige bestendigheden
bestand tegen vorst (WH 1 t/m 6), bestand tegen strooizout
Toepassing
parken, begraafplaatsen, industriegebied, grote tuinen
Vorm
hoogstam boom
Oorsprong
Nederland, 1876
Hoogstam boom Kalkrijke grond Lemige grond Zandgrond verdraagt geen verharding Bestand tegen strooizout Bestand tegen vorst (WH 1 t/m 6) Kan op natte grond Breed treurend 2de grootte, boom tussen 6 en 12m Halfopen kroon Groen Grijsgroen Geel Gemiddelde groeisnelheid Niet giftig (gewoonlijk)
Misschien ook interessant
Veelgestelde vragen
Quercus pyrenaica 'Pendula'

Een Quercus pyrenaica 'Pendula' kan als volwassen exemplaar een uiteindelijke hoogte bereiken van 6 - 10 m. De uiteindelijke hoogte is afhankelijk van de groeiplaats en het klimaat.

Een Quercus pyrenaica 'Pendula' heeft een gemiddelde groeisnelheid en zal uiteindelijk een hoogte bereiken van 6 - 10 m.

De juiste tijd voor het planten van Quercus pyrenaica 'Pendula' die in de volle grond is gekweekt, is tijdens de vegetatierust. In Nederland kan een Quercus pyrenaica 'Pendula' met kluit over het algemeen van half november tot eind april worden geplant. De temperatuur in de herfst en het voorjaar speelt een belangrijke rol.

Quercus pyrenaica 'Pendula' bloeit in juni.
Algemeen

Een boom weegt al snel enkele tientallen tot honderden kilo’s. Het bezorgen en lossen van (grote) bomen is specialistisch werk en daarom werken we met eigen chauffeurs en speciaal door ons geselecteerde transportbedrijven. Het is ook mogelijk om uw bestelling zelf af te halen op de kwekerij. U kunt dit aangeven tijdens het bestellen van uw bomen. Zodra de boom klaarstaat om afgehaald te worden, ontvangt u van ons bericht. De bomen worden gelost naast de vrachtwagen. Is de plantlocatie eenvoudig te bereiken dan is het in overleg met de chauffeur mogelijk om de bomen naast het plantgat te lossen. Dit wordt ter plekke beoordeeld door onze chauffeur.

In veel gevallen combineren wij de webshopbestellingen en plannen een logische rijroute. Zo kunnen we voorkomen dat de transportkosten onnodig hoog worden en sparen we het milieu.
Er is tijdens het bestellen van bomen de mogelijkheid om een voorkeur op te geven. We proberen daar rekening mee te houden. Wij communiceren altijd vooraf de exacte leverdatum. Mocht de voorgestelde datum of tijd niet uitkomen, neemt dan direct contact met onze logistieke afdeling op zodat we gezamenlijk naar een alternatief kunnen kijken. Bij de keuze voor directe levering, streven wij ernaar om bestellingen binnen 7 werkdagen te bezorgen.

Voor particulieren bestellingen via de webshop houden wij onderstaande bezorgkosten aan. Voor groenprofessionals staan de bezorgkosten apart vermeld op de offerte en kunnen afwijken van onderstaande tarieven.

Bezorging particulieren Nederland (exclusief Waddeneilanden):
Orderbedrag > 1000 euro: geen transportkosten
Orderbedrag < 1000 euro: 49,95 euro transportkosten
Orderbedrag < 300 euro: 99,95 euro transportkosten>

Bezorging particulier België:
Orderbedrag > 1000 euro: geen transportkosten
Orderbedrag < 1000 euro: berekening vindt plaats o.b.v uw regio:
Regio Antwerpen, Limburg, Vlaams-Brabant:
99,95 euro verzendkosten
Regio West- en Oost-Vlaanderen:
149,95 euro verzendkosten
Wallonië :
199,95 euro verzendkosten

Bomen zijn levende organismen. Wij kweken deze met veel zorg en aandacht en wij kunnen garanderen dat de bomen van goede kwaliteit zijn. Omdat wij echter niet kunnen controleren of de bomen op de juiste manier worden geplant en de juiste verzorging krijgen, kunnen wij helaas geen garantie geven op de aangroei van bomen. Eventueel is deze garantie, tegen een percentage van het totaalbedrag, wel bij te kopen. Neem voor meer informatie contact op met onze verkoopafdeling.

De grote van het plantgat is afhankelijk van de maat van de kluit. Een plantgat dient minimaal anderhalf keer zo breed te zijn als de kluit. Bij hoogstam en betakte bomen is de omvang van de kluit te berekenen met de omvang van de stam. Een handig hulpmiddel bij het berekening van de kluitomvang is onze kluitentabel. Let er op dat de randen van het plantgat niet te glad worden afgestoken, het 'dichtsmeren' van de randen kan er voor zorgen dat de wortels niet goed doordringen. 

Een boom t/m maat 18-20 is met de hand te planten. Bij heesters ligt de grens op ongeveer maat 250-300. Een boom/heester, inclusief kluit weegt al snel meer dan 125 kg. Om een boom/heester op een juiste en zorgvuldige manier in het plantgat te krijgen, raden wij aan om bij bomen vanaf maat 20-25 of maat 300-350 (heesters) hulp van een groenprofessional in te schakelen. Zij beschikken over de juiste werktuigen om de boom zorgvuldig en goed in het plantgat te krijgen.

Hoeveelheden voor bewatering zijn eigenlijk niet te geven omdat die afhankelijk is van de weersomstandigheden, de soort, de maat van de boom en de groeiplaats-omstandigheden. Dat is soms lastig inschatten. De vochtigheid van de kluit is te controleren door direct naast de kluit een smal gat te graven of een guts in de kluit te steken. Ook de frequentie van water geven is moeilijk te zeggen maar het is beter één keer een flinke hoeveelheid water te geven dan iedere dag een klein beetje. Het is belangrijk dat het water goed in de kluit trekt en niet alleen de bovenste laag bevochtigd. Let op; vochtig maar niet kletsnat! Een boom kan ook dood gaan aan een teveel aan water. Als de standplaats voortdurend kletsnat is kunnen de wortels gaan rotten. Meer informatie is te vinden op de pagina: "Bomen water geven"